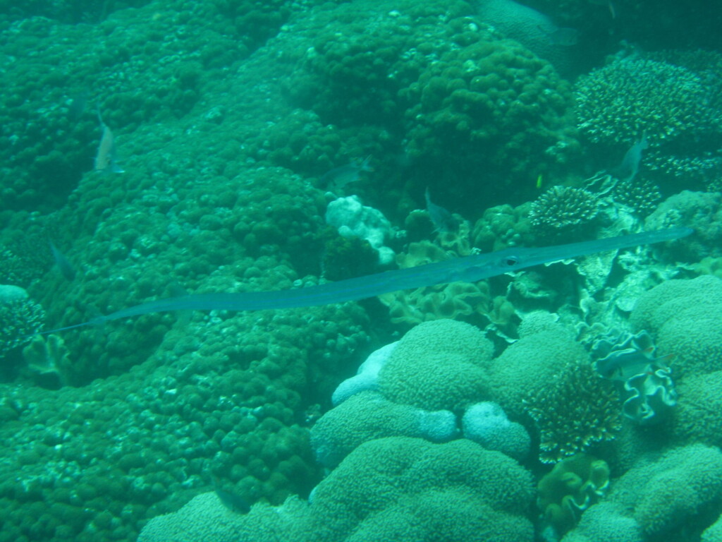
In the middle of the Indian Ocean, the Seychelles offered me one of the best diving spot ever encountered. In shallow warm water (20m and 30°C), I met sharks, a Napoleon fish and many cornet fishes. A colorful environment that could unfortunately not be seen on the pictures due to color changes underwater. Seychelles are also famous for their giant turtles and the sea coconut: the biggest seed in the world.













